Prodej stavební parcely 2 330 m², Milešovice
6 990 000 Kč
UVEDENÁ CENA JE VČETNĚ PROVIZE I PRÁVNÍCH SLUŽEB, TUDÍŽ PRO KUPUJÍCÍHO KONEČNÁ.
Popis nemovitosti
Ve výhradním zastoupení majitele si Vám dovoluji nabídnout stavební pozemek 2230 m2 vhodný k výstavbě jednoho nebo více rodinných domů v obci Milešovice.
Pozemek se nachází v klidné části obce, téměř na okraji. V přilehlé komunikaci jsou všechny inženýrské sítě, elektřina, plyn, kanalizace, obecní vodovod.
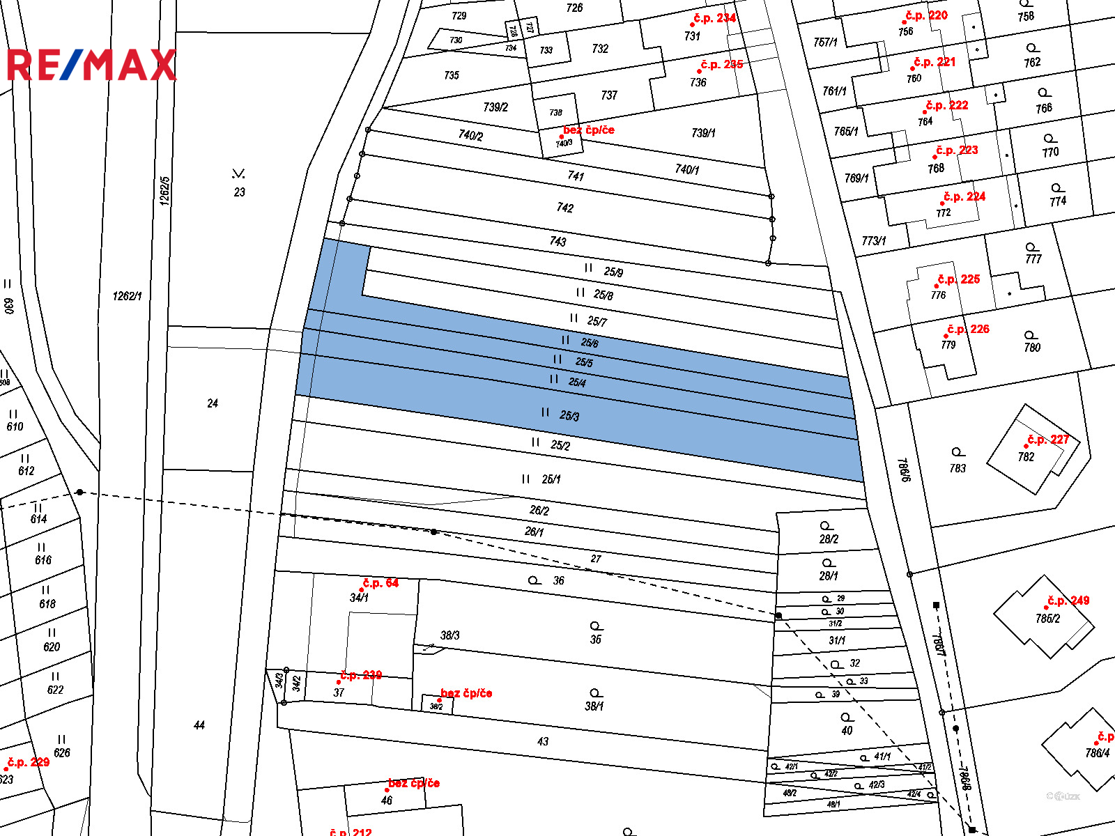
Pozemek je obdélníkového tvaru s uliční šíři cca 21 m a délkou cca 112m.
Velikou výhodou pozemku je, že je příjezdová cesta z obou stran pozemku.
Ve fotogalerii je i vidět, jak by případný stavitel mohl pozemek rozdělit na 7 stavebních pozemků.
Rád Vám pozemek osobně představím, sdělím podrobnější informace a předložím územně plánovací Informaci, ve které jsou všechny přípustné způsoby využití pozemku a dále předložím od správců síti vyjádření o existenci sítí.
Nemovitost není zatížena žádnou exekucí ani břemenem a je nachystána k prodeji.
Obec Milešovice se nachází 18 km jihovýchodně od Brna.
S financováním Vám velice rádi pomůžeme.
Pro bližší informace volejte. Těším se na setkání s vámi.
UVEDENÁ CENA JE VČETNĚ PROVIZE I PRÁVNÍCH SLUŽEB
Prodávající si vyhrazuje právo vybrat kupujícího na základě jím zvolených kritérií.
Základní údaje
Kanalizace
Veřejná kanalizace
Inženýrské sítě
Internet, Plyn
ID nemovitosti
434065
Datum vložení
9. března 2026
Cena
6 990 000 Kč
Plocha celková
2 330 m²
Plocha pozemku
2 330 m²
Plocha užitná
2 330 m²
